by Rob Jonkers (photos by Willie Bodenstein)

The South African Power Flying Association (SAPFA) together with the Krugersdorp Flying Club organised an extremely successful Navigation Fun Rally on Saturday 15th October 2016. Under the Stewardship of SAPFA’s Frank Eckard who planned & plotted the course, a total of 12 entrants were able to partake in the fun rally.

Entrants

There was one further entrant in the Precision Rally Mauritz du Plessis all the way from the Cape who was flying this format as a qualifying competition rally for the Precisions Nationals being held in March 2017.

Mauritz du Plessis came all the way from Gansbaai, and took part in the Precision format rally in a
C152 and finished with 1459 penalty points

This rally was originally scheduled for March, but was completely rained and fogged out, thus had to happen later in the year, October normally being a good weather month option, but with the whacky weather of late, it appears the hot dry winds of August came two months later. And so the challenging weather did not disappoint, with increasing wind from the north getting stronger by the hour, peaking around 2 pm with 15 to 20 kts crosswind on the runway, with Krugersdorp’s runway particularly exposed to the elements. This reduced the field of entrants somewhat, as some teams indicated their crosswind limits out of their comfortable range, and as we know Pilot’s discretion rules.

Chris Kyle and Frank Eckard giving safety and route briefings to the competitors.

The rally briefing started juts before 8 am with Chris Kyle providing airspace rules and with Frank providing some of the route details, after which breakfast and plotting could start.

 

  

Competitors busy with the serious business of plotting

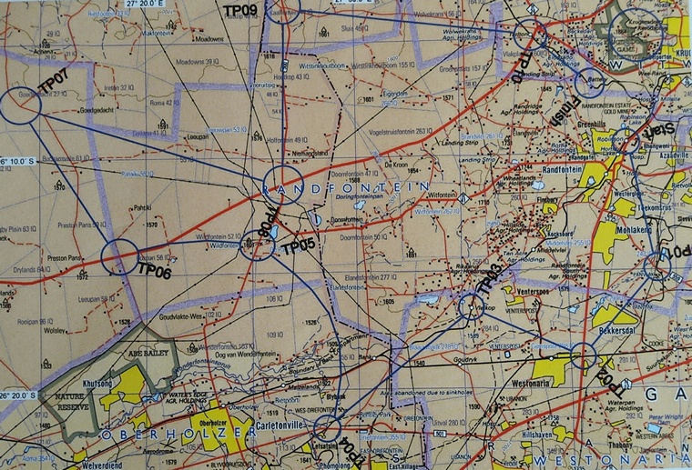
The first aircraft departed around 10 am on a route mostly to the south west, past Westonaria, turning northwest at Carletonville into an area so sparse with virtually no ground features to speak of, making it tough to follow the required ground track.

The Track

In the fun rally rules, each turning point has a 15 second window to cross over to attain zero penalty points with a mile wide gate to go through, and along the route around 13 photographs had to be recognised and located on the map.

 

Pilot’s Post – Krugersdorp Fun Rally 2016

Some of the photographs of landmarks that competitors were required to identify

The wind at altitude must have been 25 kts+, making flying accurately very challenging especially on the downwind legs, where flaps had to be deployed and slow flight skills came into play, zig-zagging turns along the course also required being careful not to attract track errors of turning more than 90 deg. Some of the photo recognition also a challenge as google earth pictures are used which look different to the real world, especially with the dry landscape out there, the lack of rain very evident. Returning to Krugersdorp the teams had to cope with the heavy crosswind and turbulence to land, many struggling to keep the aircraft straight along the narrow runway, everybody managed it without any incident.

Stephen Hartman and Martin Meyer finished in 4th place in the Pioneer 200 with 502 penalty points
Robert Bridges and Justin Meyers finished in 5th place in the Rockwell Commander with 512 penalty points
Johan and Michelle Nel finished 6th in a Jabiru with 537 penalty points
Gert Verbaan and Francois Tolmay finished 7th in a Beech V-35B with 869 penalty points
Grant and Irene Rousseau was placed 8th in a Cessna 175 with 1072 penalty points
Jakes Jacobs and Gerhard Niemand finished 9th in a Beech F-33A with 1080 penalty points
Wikus Kruger and Christo Roos was placed 11th in a Cessna 172 with 1180 penalty points
Mark Jackson and Edzard Veseput finished 12th in a Sling4 with 1200 penalty points

After all the scores were tallied, the prize-giving ceremony was held in the clubhouse hosted by John Addis, where the first three places and prizes went to Ron & Dusty Stirk in their C150 ZS-IWD who came 1st with a remarkable 43 points.

Winners Ron & Dusty Stirk competed in a Cessna 150

Rob Jonkers & Marie Reddy in a C182 ZS-IVC who came 2nd with 109 points

Rob Jonkers and Marie Ready competed in a Cessna 182a nd finished in second place

Peter & Celia Lastrucci in their C152 ZS-CAT who came 3rd with 270 points.

Celia And Peter Lastrucci competed in a Cessna 150 and finished in third place

This event was for sure enjoyed by all, most entrants never having flown a rally before, getting an understanding of flying with more precision, especially in the slower flight regime. Thanks are extended to Grant & Annatjie Rousseau for all the arrangements for the day.